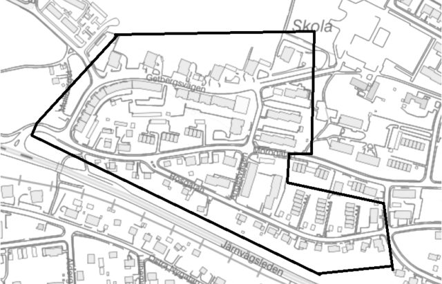
Enligt Skellefteå kommun kommer vattnet att stängas av mellan klockan 07.00 och 16.00 ungefär, under tiden som en vattenläcka repareras på Rosgatan. En vattensläp ställs ut vid pizzerian på Getbergsvägen 32, där du kan hämta vatten med eget kärl.
Ledningsarbete planeras – område i Skellefteå utan vatten på onsdag
NYHETER Vattnet stängs av på Getberget under dagen i morgon.

